Vous cherchez un média alternatif ? Un média engagé sur l'écologie et l'environnement ? La Relève et la Peste est un média indépendant, sans actionnaire et sans pub.

L’ouragan hors-norme Melissa va frapper la Jamaïque

Sa puissance hors-norme est notamment causée par le réchauffement de l’Atlantique Nord, +1°C par rapport à la normale.

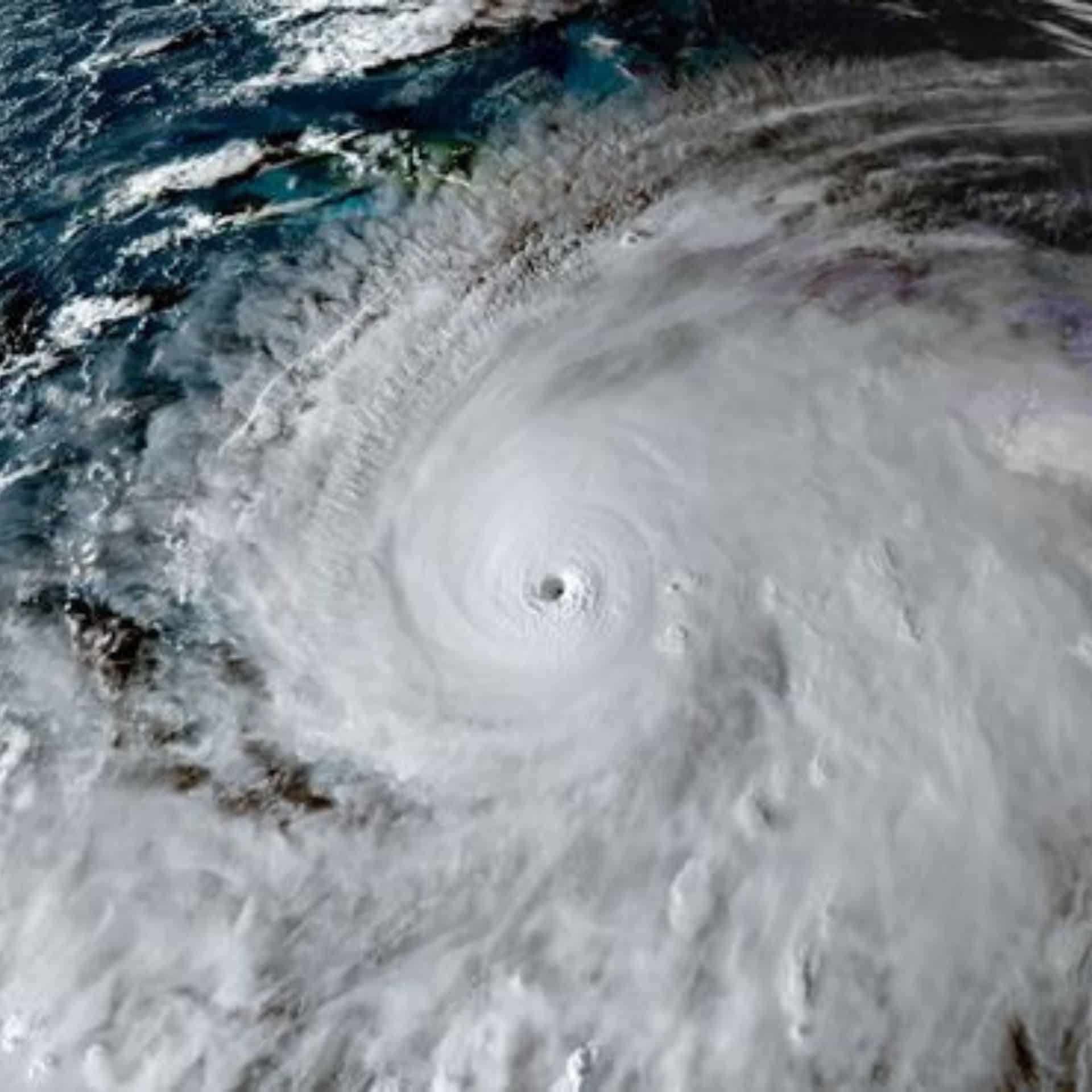
L’ouragan Mélissa s’apprête à frapper la Jamaïque avec une violence exceptionnelle ces prochaines heures : des vents proches de 250 km/h, pluies diluviennes et vagues de 8 mètres sont redoutés sur l'île. Il pourrait devenir le plus puissant ouragan à toucher l’île depuis Gilbert en 1988.

Melissa, ouragan de catégorie 5/5, est actuellement au sud de la Jamaïque. Les vents moyens sont d’environ 280 km/h, avec des rafales dépassant localement les 310 km/h, et une pression minimale d’environ 901 hPa, (pouvant s’abaisser encore davantage). Son déplacement est très lent, avec des conditions déjà violentes sur l’île.

Des pluies intenses entraînent dès à présent des inondations et des glissements de terrain dans certaines régions de Jamaïque et de Haïti, ayant provoqué le décès de 7 personnes : 3 en Jamaïque, 3 en Haïti et 1 en Républicaine dominicaine.

Avec des vents à plus de 260 km/h et des pluies déversant plus de 750 litres d’eau par mètre carré, s’il ne perd pas en intensité, il sera l’ouragan le plus puissant à toucher terre sur l’île caribéenne depuis le début des suivis météorologiques en 1851.

Sa vitesse lente de déplacement, 4km/h, préoccupe les experts en raison des précipitations et glissements de terrain qui risquent de durer plus longtemps. Sa puissance hors-norme est notamment causée par le réchauffement de l’Atlantique Nord, +1°C par rapport à la normale.

Les autorités jamaïcaines ont appelé la population à se mettre à l’abri et évacuer les zones les plus à risque dans l’ouest du pays. « Je ne pense pas qu’une seule infrastructure de cette région puisse résister à un ouragan de catégorie 5, donc il pourrait y avoir d’importantes destructions », a anticipé le Premier ministre jamaïcain Andrew Holness.

Les autorités doivent aussi contrer les vidéos générées par intelligence artificielle qui minimisent la puissance de l’ouragan sur les réseaux sociaux, induisant en erreur la population.

Après la Jamaïque ce soir, l’ouragan Mélissa devrait frapper le sud-est de Cuba mercredi puis les Bahamas jeudi.

S’informer avec des médias indépendants et libres est une garantie nécessaire à une société démocratique. Nous vous offrons au quotidien des articles en accès libre car nous estimons que l’information doit être gratuite à tou.te.s. Si vous souhaitez nous soutenir, la vente de nos livres financent notre liberté.

La Relève et La Peste

Faire un don
"Le plus souvent, les gens renoncent à leur pouvoir car ils pensent qu'il n'en ont pas"

Votre soutien compte plus que tout

Animal, un nouveau livre puissant qui va vous émerveiller 🐺

Notre livre Animal vous invite à vous émerveiller face à la beauté du peuple animal. Des dernières découvertes scientifiques sur le génie animal jusqu’au rôle primordial de chaque espèce qui peuple notre terre, notre livre vous plonge au cœur du monde animal et vous invite à retrouver votre instinct.

Après une année de travail, nous avons réalisé l’un des plus beaux ouvrages tant sur le fond que sur la forme.

Articles sur le même thème

Revenir au thème

Pour vous informer librement, faites partie de nos 80 000 abonnés.
Deux emails par semaine.

Conçu pour vous éveiller et vous donner les clés pour agir au quotidien.

Les informations recueillies sont confidentielles et conservées en toute sécurité. Désabonnez-vous rapidement.

^